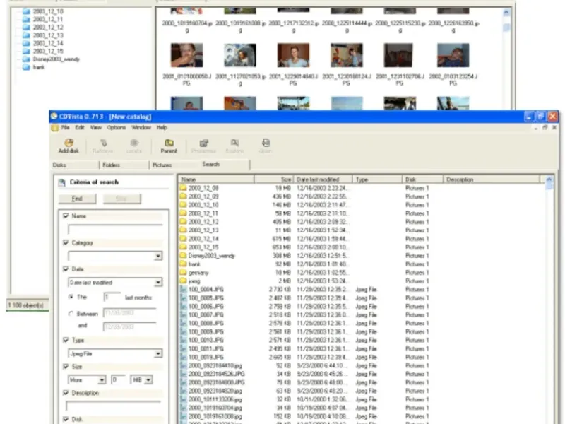
CDVista - это бесплатная программа, которая поможет вам создать полный каталог всех ваших фотографий в миниатюре, чтобы вы могли легко находить их на нужном CD, DVD или жестком диске. Как это работает? Очень просто! Вставьте диск с фотографиями или выберите папку, где они хранятся, и программа автоматически создаст миниатюры каждой фотографии. CDVista запоминает каждую фотографию и сохраняет информацию о носителе вместе с миниатюрой. Когда вам нужно найти фото, просто запустите программу, найдите нужную миниатюру и кликните на нее, чтобы увидеть, где она хранится. Теперь вы сэкономите много времени на поиске ваших фотографий.


t
CDVista радует, но есть нюансы. Музыка загружается быстро, но в интерфейсе есть некоторые недочеты. Все равно, все устраивает для прослушивания!
Kanagat02
Нормальное приложение, но иногда не хватает качества звука. Мне нравится библиотека, но бывают моменты, когда все тормозит. Надеюсь на улучшение!
bekmahmudgaukhar
В принципе неплохо. Музыка разнообразная, интерфейс удобный, но иногда зависает. Не знаю, возможно стоит подождать обновления! В целом, нормально.